Listing provided courtesy of Paul Purunjian of Purunjian Inc.. Last updated . Listing information © 2025 Sandicor.
Asking Price: $1,300,000
551 Crescent Drive, Azusa CA 91702
Community:
This ResidentialIncome property was built in and is priced at $1,300,000. Please see the additional details below.
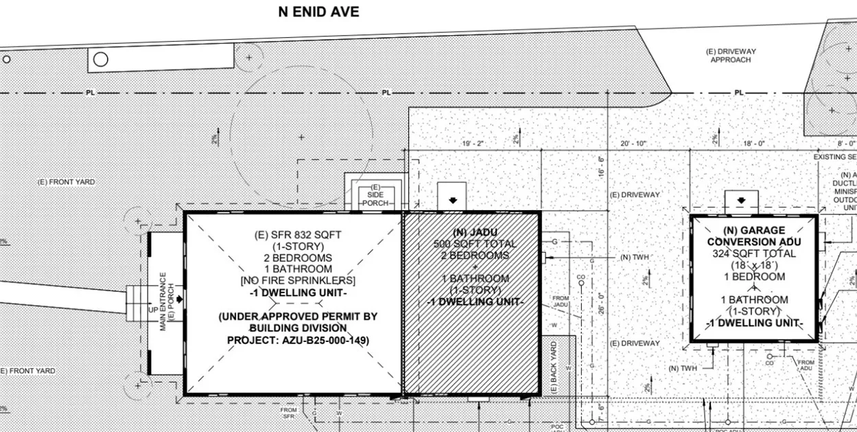
Rare opportunity to own a fully turnkey Single-Family Residence with a Jr. ADU and a full ADUthree separate units in totalsituated on a desirable corner lot in the beautiful foothill city of Azusa. The main home is 100% complete and offers 3 bedrooms, 2 bathrooms, and 832 sq. ft. of living space, featuring indoor laundry, dual-pane windows, a beautifully remodeled primary bedroom, and an upgraded en-suite bathroom. The 500 sq. ft. Junior ADU offers 2 bedrooms and 1 bathroom, while the 324 sq. ft. detached ADU (garage conversion) features 1 bedroom and 1 bathroom. Both ADUs will be fully completed in approximately two weeks and include indoor laundry and new mini-split HVAC systems. This property is ideal for move-up buyers seeking rental income, FHA buyers, first-time buyers, investors, multi-family households, or multi-generational living.




















